Hautanalyse mit Visa Gen7
Unser fortschrittliches Hautanalyse-System VISIA ist nun auch für den kosmetisch-ästhetischen Bereich verfügbar. Es wurde von einem weltweit führenden Unternehmen für 2D- und 3D-Fotografiesysteme entwickelt und basiert auf umfangreicher wissenschaftlicher Forschung und Analyse von Behandlungsergebnissen. Das System nutzt hochmoderne Kamerasysteme von Canon und speziell entwickelte Beleuchtungskomponenten, um acht verschiedene Merkmale der Haut präzise darzustellen. Hier finden Sie alle Merkmale in Übersicht.
- Den aktuellen Zustand Ihrer Haut bestimmen
- Das relative Alter Ihrer Haut ermitteln (Vergleich mit Durchschnittswerten aus einer großen Haut-Datenbank)
- Den simulierten Alterungsprozess um 5–7 Jahre jünger oder älter darstellen (Falten und Altersflecken)
- Ihnen zeigen, wie Sie in ein paar Jahren aussehen werden
- Die Hautoberfläche in 3D visualisieren
- Vorher-Nachher-Vergleiche in 3D Ansichten durchführen
- Injektionen und Volumenaufbau simulieren
- Die Länge und das Volumen Ihrer Wimpern messen

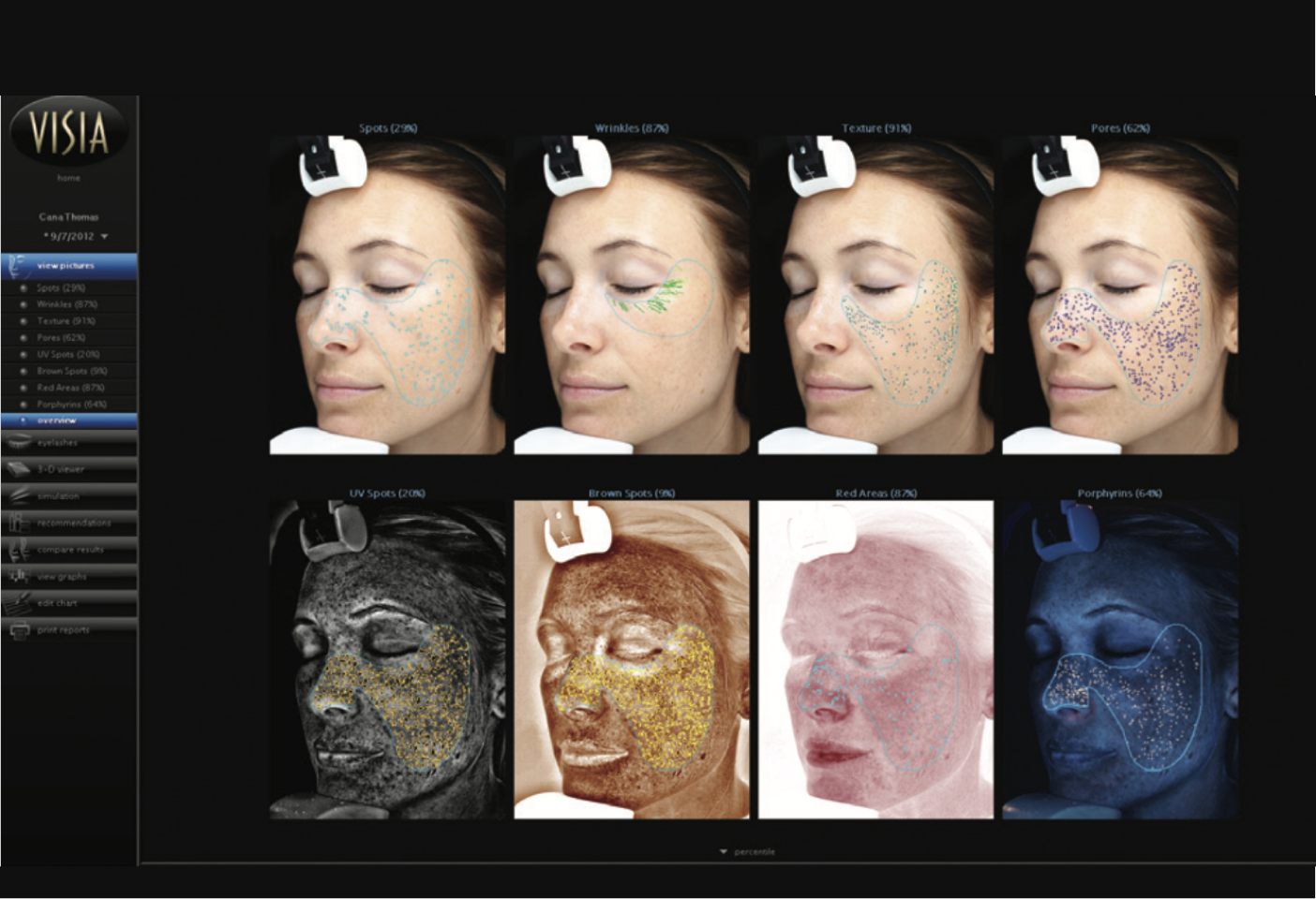
Falten
Falten sind Hautfältchen, Rillen oder Knicke, die durch übermässige Sonnenexposition entstehen und mit dem nachlassenden Elastizitätsniveau der Haut einhergehen. Die Ausprägung von Falten variiert von Bild zu Bild, da sie vom individuellen Gesichtsausdruck des Patienten/Kunden abhängt. Falten zeichnen sich durch ihre langen und schmalen Formen aus.

Ebenheit
Die Texturanalyse bewertet hauptsächlich die Gleichmässigkeit der Haut. Das „Ebenheit“ -Modul erfasst den Farbton und die Gleichmäßigkeit, indem es Farbnuancen identifiziert und die Spitzen (gelb dargestellt) und Täler (blau dargestellt) auf der Hautoberfläche erkennt, die Variationen in der Oberflächenstruktur anzeigen.

Poren
Poren sind runde Öffnungen der Schweissdrüsenkanäle auf der Hautoberfläche. Aufgrund von Schattenwirkungen erscheinen Poren dunkler als der umgebende Hautton und können mithilfe des VISIA-Systems anhand ihrer dunkleren Farbe und runden Form identifiziert werden. Das VISIA-System unterscheidet Poren von Flecken anhand ihrer Grösse, da Poren viel kleiner sind.

Flecken
Flecken sind braune oder rote Hautveränderungen, zu denen Sommersprossen, Aknenarben, Hyperpigmentierungen und vaskuläre Läsionen gehören. Sie unterscheiden sich vom normalen Hautton durch ihre Farbintensität und den Kontrast. Flecken können in ihrer Grösse variieren und sind oft kreisförmig.

UV-Flecken
UV-Flecken entstehen an Stellen, an denen Melanin unter der Hautoberfläche gerinnt. Unter normalen Lichtbedingungen sind UV-Flecken normalerweise unsichtbar. Durch die selektive Absorption von UV-Licht durch das Melanin in der Epidermis werden sie jedoch durch das VISIA-System sichtbar gemacht und nachgewiesen.

Braune Flecken
Braune Flecken zeigen eine erhöhte Konzentration von Melanin auf oder unter der Haut an. Sie können verschiedene Formen von Hyperpigmentierung darstellen, wie zum Beispiel Sonnenschäden oder Melasma.

Rote Bereiche
Rote Bereiche repräsentieren Blut oder Hämoglobin. Die Auswertung zeigt Bereiche unter der Hautoberfläche auf, die Anzeichen von vaskulären Erkrankungen wie Rosacea oder Akne aufweisen können.

Porphyrine
Propionibacterium acnes, das Bakterium, das Akne verursacht, produziert und speichert grosse Mengen an Porphyrinen, die in den Talgdrüsen abgelagert werden. Diese Porphyrine fluoreszieren unter UV-Licht und haben eine kreisförmige, weiss schimmernde Erscheinung.






